조황관리HOME / 조황관리 / 상세정보

제목 : 삼천포 마린보이 붉바리 다잡아 외수질 다녀왔습니다^^(내일도 달립니다)
등록일 : 2024-06-01
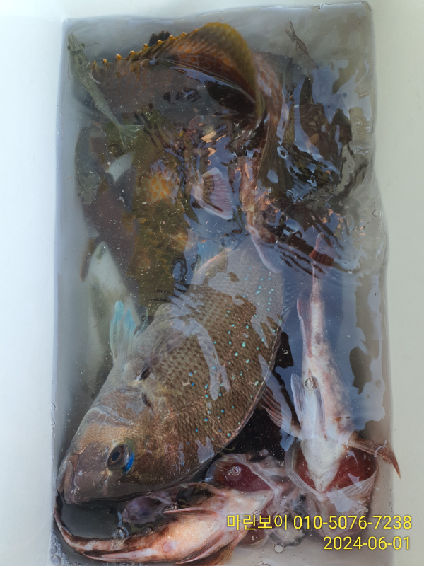
* 붉바리 조황*

안녕하십니까^^

삼천포폭풍질주 마린보이 슨장 정남진 입니다~~

6월 첫 주말 9분의 열정앵글러 분들 모시고 오붓하게 붉바리 

다잡아 외수질 다녀왔습니다.

좋은 기상에 붉바리와 7짜 점농어, 민농어등 덩치급들을 만날수 

있었고 붉바리 덩치들은 어초에 박혀 집행이 되지 않은 녀석들이 

많았지만 붉바리 조황 꾸준히 내어 주셨습니다^^

날씨가 좋아지는 황금물때 6. 02. 일요일 붉바리, 참돔, 농어, 

왕쏨뱅이의 당찬손맛, 눈맛, 입맛 보러 원도권으로 다시 부지런히 

다녀보겠습니다 ^^

외수질(생새우 제공) : 15시 철수(10만 이벤트 진행중)
화살촉 오징어(6. 1. 이후) : 02시 철수(7만)

6. 02. 일요일 :  붉바리 다잡아 외수질
6. 03. 월요일 :  붉바리 다잡아 외수질 

마린보이는 붉바리 외수질, 화살촉 오징어의 계절 출항

확정 입니다 ^^

망설이시지 마시고 연락주세요 ^^

#전투낚시 #조황 #실시간 #조업출조 #문어 #삼천포마린보이 
#주간문어 #야간문어 #야간낙지 #삼천포외수질 #다잡아
#외수질 #수퍼맨채비 

평일 일찍 출항해서 부지런히 늦게까지 ~~~
주말 일찍 출항해서 부지런히 늦게까지  ~~~

☆ 출항시간 ☆
평일주간 (월 ~ 금) : 06 : 00 ~ 15 : 00
평일야간 (월 ~ 금) : 19 : 00 ~ 02 : 00
주말주간 (토 ~ 일) : 06 : 00 ~ 15 : 00
주말야간 (토 ~ 일) : 19 : 00 ~ 02 : 00

※ 법정휴일 (공휴일)은 주말주간 운영과 동일 합니다^^

♤ 6. 01. 붉바리 외수질 조황

IMG_20240601_102514.jpg


IMG_20240601_100505.jpg


IMG_20240601_132805.jpg


IMG_20240601_135941.jpg


IMG_20240601_085317.jpg


IMG_20240601_072706.jpg


IMG_20240601_073105.jpg


IMG_20240601_071154.jpg


IMG_20240601_134336.jpg


IMG_20240601_134813.jpg


IMG_20240601_143756.jpg


IMG_20240601_161345.jpg


IMG_20240601_160424.jpg


IMG_20240601_160213.jpg


IMG_20240601_160634.jpg


IMG_20240601_160733.jpg


IMG_20240601_161007.jpg


IMG_20240601_161719.jpg

 


=== 사천 팔포항 마린보이피싱 예약안내 ===


예약문의 : 010-5076-7238

오시는길 : 경남 사천시 동금동 579-2

홈페이지 : http://boyfishing.sunsang24.com/




Top